Premium Only Content
🇯🇵 Japan: Dangerous Approach of Typhoon Halong 🌪️ Category 4:
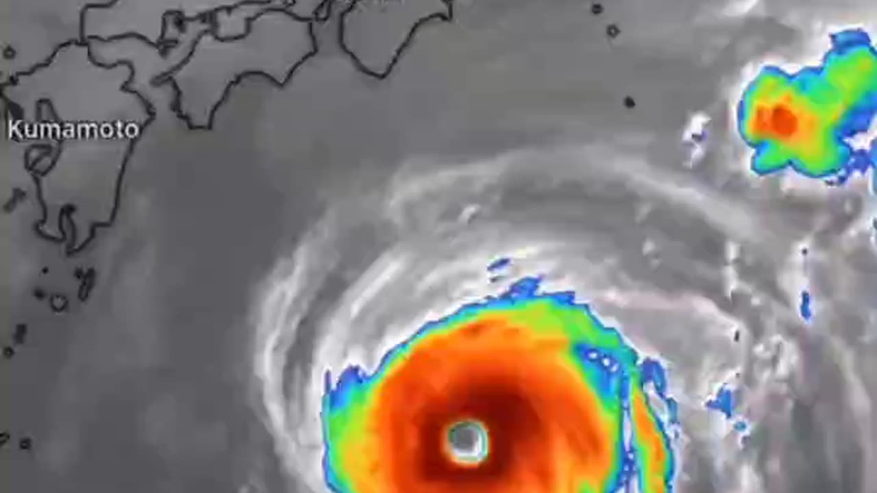
🇯🇵 Japan: Dangerous Approach of Typhoon Halong 🌪️ Category 4: Typhoon Halong Rages in the Pacific Ocean
🌀 The tropical cyclone Halong has strengthened to a Category 4 hurricane, with winds in the eye reaching 225 km/h (63 m/s). It is currently located near Japan, moving in a northeastward direction, and is the third strongest typhoon in the Pacific Ocean in 2025, after Ragasa and Neoguri.
💨 Typhoon Halong continues to intensify, and meteorologists warn of potential impacts on the coastal areas of Japan and the northwestern Pacific.
📹 The last 24 hours of Typhoon Halong – a GIF shows the storm’s movement and intensification.
📷 Eye of the typhoon from the ISS. Unique photos were taken by astronaut Koichi Wakata, showing the structure and power of the cyclone from space.
-
1:45:59
Robert Gouveia
3 hours agoAmerican Soldier DEAD! Trump Furious! Afghan 'Vetted by CIA'! Third World FREEZE!
33.3K20 -
48:48
The Culture War with Tim Pool
2 hours agoThe West Is COLLAPSING Under Mass Migration | The Culture War's Across The Pond
18.4K46 -
1:42:33
The Mel K Show
2 hours agoMORNINGS WITH MEL K - We Have Not Yet Begun to Fight - The Clock is Ticking! 11-28-25
15.9K10 -
1:25:54
Film Threat
14 hours agoHOLLYWOOD FOR SALE! BLACK FRIDAY BLOW OUT! | Film Threat Livecast
9.24K1 -
LIVE
The Shannon Joy Show
3 hours agoSJ Show Nov 28 - The SJ Friday Matinee Watch Party With Commentary Featuring The Big Short!
33 watching -
35:39
Grant Stinchfield
5 hours ago $1.51 earnedThe Medical Deep State Exposed — And McCullough Has the Receipts!
9.43K -
59:15
Trumpet Daily
2 hours ago $2.53 earnedTrumpet Daily LIVE | Nov. 28, 2025
10.1K2 -
LIVE
LFA TV
16 hours agoLIVE & BREAKING NEWS! | FRIDAY 11/28/25
4,344 watching -
2:00:18
Badlands Media
12 hours agoBadlands Daily – Nov. 28, 2025: DC Chaos, CIA Ties & Trump’s Border Crackdown
95.5K16 -
2:18:44
Nikko Ortiz
4 hours agoVR Ghost Of Tabor... | Rumble LIVE
16K2